
Credit: Google Maps
A developer is seeking to construct a self-storage facility with two billboards on a 3.57-acre area of land in Bristol Township.
Advertisements
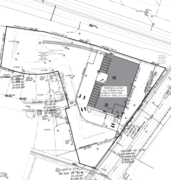
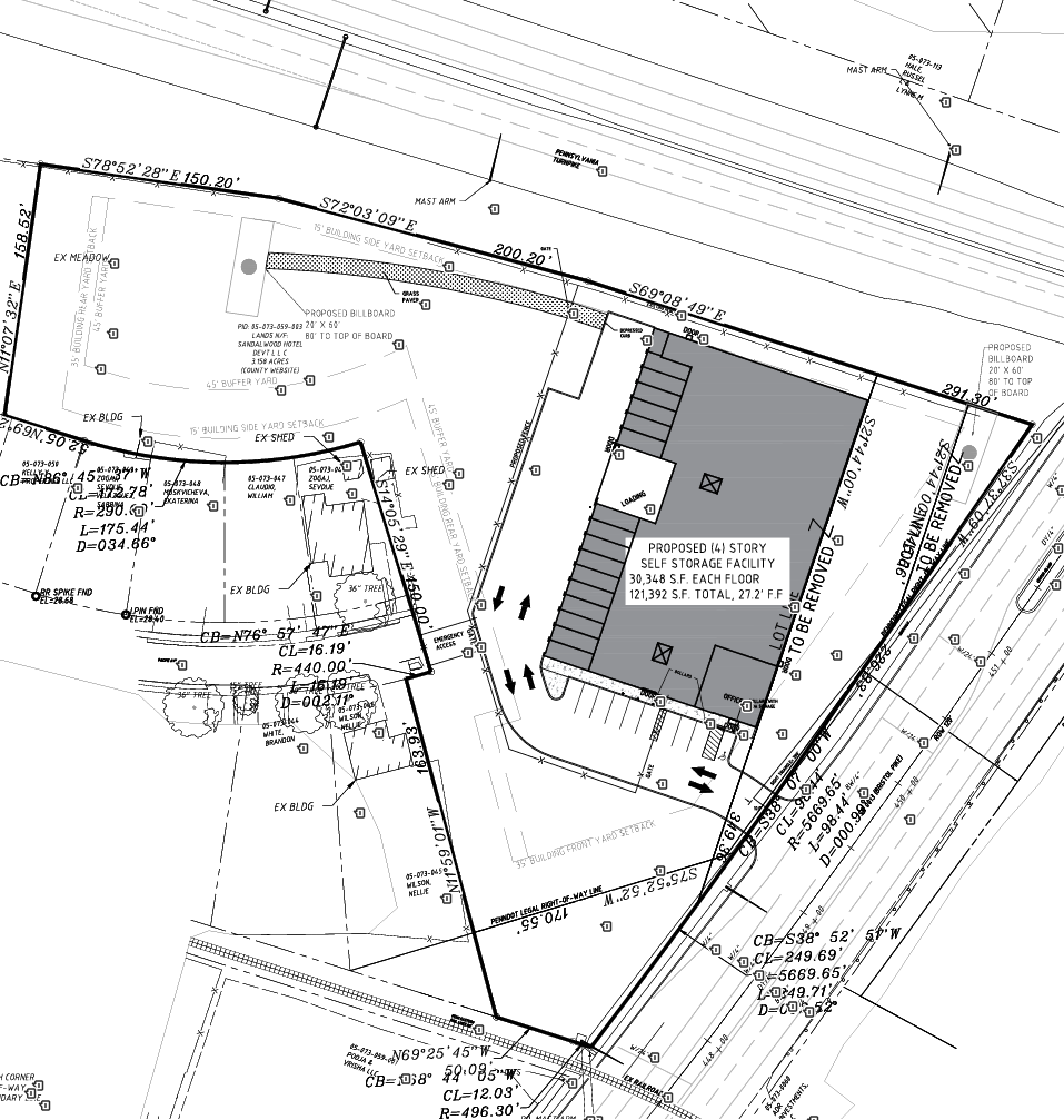
The developer – identified in filings as Bristol Pike Storage LLC – is looking at consolidating three parcels along Route 13 and the Pennsylvania Turnpike/I-95 in Bristol Township near Green Lane. The combined 3.57-acre site would be for development and sits at the terminus of Pacific Avenue, a residential street.
The site is currently mostly wooded.
The proposed four-story self-storage building would consist of 30,348-square-feet of space on each level, totaling 121,392 square feet. Two 1,200-square-foot billboards would face the Pennsylvania Turnpike/I-95, according to the plans.

Advertisements
The plans do not call for the parking lot to have an entry and exit onto Pacific Avenue, but an emergency access point would be constructed.
Traffic for the self-storage center would enter and exit on Route 13, according to the current proposal.
Advertisements
The site is zoned commercial.
The plans still have to go through Bristol Township’s land development process.
Sandalwood Hotel Development LLC has owned the properties for several years, according to court property records.
Advertisements
Self-storage facilities have popped up across Lower Bucks County over the past decade. Nationwide, the self-storage business has seen significant growth in recent years.
Advertisements
Report a correction via email | Editorial standards and policies


